Возле будущего «Союзного Дома» появятся уже знакомые горожанам скамейки и качели
Администрация Смоленска подвела итоги тендера на благоустройство территории перед зданием кинотеатра «Октябрь» на площади Победы. Максимальная цена контракта была определена на уровне 58 000 000 рублей. В открытом конкурсе приняли участие три кандидата, два из которых предложили выполнить работы по начальной цене, третий — за 55 555 555 рублей. Победу одержал один из «максималистов».
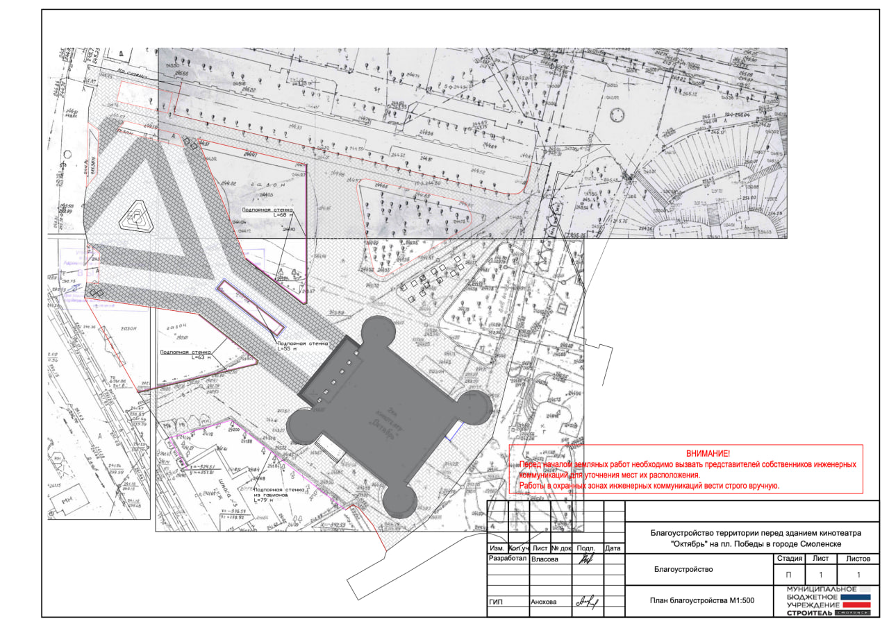
В рамках благоустройства, согласно проектной документации, у здания кинотеатра ожидается:
- обустройство пешеходных дорожек с мощением серой плиткой;
- создание подпорных стенок из габионных конструкций, собираемых из проволочной сетки;
- ручной посев партерных, мавританских и обыкновенных газонов;
- установка скамеек со спинкой и урн из коллекции туркод, скамеек Deck, как на улице Октябрьской Революции напротив Главпочтампта, а также деревянных качелей WOOD, как в карманном парке у кинотеатра «Современник»;
- обновление системы освещения.
Все эти работы должны быть выполнены до 30 августа, гарантийный срок — пять лет.
Напомним, в 2021 году благоустраивалась территория за кинотеатром «Октябрь», что обошлось смоленскому бюджету в 29 миллионов рублей. Однако вскоре после завершения работ состояние объекта заметно ухудшилось: местами покрытие не выдержало проверку временем, а где-то «отметились» вандалы.
Ранее сообщалось о том, что сам кинотеатр «Октябрь» решено превратить в «Союзный Дом» — информационный центр Союзного государства России и Беларуси. По данным регионального министерства культуры, в основу преобразования здания легла концепция минского Дворца Независимости.






